Przejdź do treści
Źródło artykułu

Zderzenie CRJ-900 z wozem strażackim w Nowym Jorku – co wiadomo do tej pory

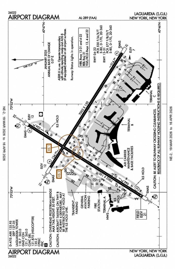
22 marca 2026 r., CRJ-900 linii Jazz Canadair (znaki rejestracyjne C-GNJZ), zderzył się z wozem strażackim podczas dobiegu na pasie nr 4 lotniska La Guardia w Nowym Jorku. Samolot wykonywał lot dla Air Canada nr AC-8646 z Montrealu z 72 pasażerami i 4 członkami załogi na pokładzie.  

W tym samym czasie, samolot United zgłosił sytuację awaryjną z powodu zapachu na pokładzie, co wymagało interwencji służb ratunkowych. Wóz strażacki nr 1 poprosił o zgodę na przecięcie pasa 04 na drodze kołowania D i ją otrzymał.

Kilka sekund później kontroler z wieży krzyknął „Stop! Stop! #1 Stop! Fire #1 Stop!”, jednak nie udało się uniknąć zderzenia między hamującym po lądowaniu CRJ9, a wozem strażackim.

Do wypadku doszło o 23:36 czasu lokalnego (03:36 UTC/23 MAR). Po zderzeniu samolot sunął hamując w kierunku szybkiego zjazdu F / zjazdu E, około 130 m dalej wzdłuż pasa, po czym zatrzymał się na zjeździe E.

Jedna ze stewardess siedziała na jumpseat tuż za kokpitem. W momencie zderzenia, jej fotel został wyrwany z kadłuba i kobieta razem z nim została wyrzucona na ponad 100 m poza samolot. Mimo ekstremalnych przeciążeń przeżyła zdarzenie. Doznała obrażeń (m.in. złamania nogi), ale trafiła do szpitala w stanie stabilnym.

Podejściówki lotniska La Guardia, fot. avherald

W wypadku zginęli kapitan i pierwszy oficer. Dwóch strażaków znajdujących się w pojeździe odniosło ciężkie obrażenia, 9 pasażerów zostało ciężko rannych, a 32 pasażerów odniosło lekkie obrażenia. Lotnisko zostało zamknięte, a Narodowa Rada Bezpieczeństwa Transportu (NTSB) wszczęła dochodzenia mające wyjaśnić przyczyny zdarzenia. 

Wieczorem 23 marca 2026 r. NTSB poinformowała, że rejestratory FDR i CVR zostały odzyskane z samolotu, a prace nad ich odczytem rozpoczną się 24 marca 2026 r. Tego dnia NTSB przekazała, że FDR i CVR zostały przewiezione do laboratoriów w Waszyngtonie i odczytane.

CVR zawierał ponad 25 godzin dobrej jakości nagrań audio na 4 kanałach, a FDR około 80 godzin danych obejmujących ponad 400 parametrów.

Zapisy CVR w ostatnich 3 minutach przed wypadkiem (czasy odnoszą się do końcówki nagrania): 

3:07 przed końcem nagrania łączność z samolotem została przekazana wieży

2:45 - załoga wypuściła podwozie

2:22 - zgłosiła się do wieży La Guardia

2:17 - załoga otrzymała zgodę na lądowanie jako numer dwa

1:52 - piloci ustawili klapy na 30°

1:33 - klapy ustawione zostały na 45°

1:26 - GPWS ogłosił „1000 feet”

1:12 - potwierdzono wykonanie checklisty do lądowania

1:03 - pojazd lotniskowy nadał transmisję radiową, która została zagłuszona przez inną transmisję (jej źródło nie jest znane) 

54s - załoga potwierdziła 500 ft AGL i stabilne podejście. 

44s - wieża zapytała, który pojazd ma przeciąć pas

28s - wóz nr 1 nadał transmisję

26s - wieża ją potwierdziła

25s - pojazd poprosił o zgodę na przecięcie pasa 04 na drodze D

20s - wieża wydała zgodę

19s - GPWS ogłosił „100 feet”

17s - pojazd powtórzył zgodę

14s - „50 feet”

12s - „30 feet”, jednocześnie wieża poleciła innemu samolotowi Frontier oczekiwanie

11s - „20 feet”

10s - „10 feet”

9s - wieża nadała „STOP”

8s - nastąpił dźwięk przyziemienia CRJ-900

6s - FO przekazał kontrolę nad samolotem kapitanowi

4s - wieża ponownie nakazała wozowi nr 1 zatrzymanie.

CRJ-900 linii Air Canada po zderzeniu z wozem strażackim, fot. cbc.ca

Pierwszy oficer był pilotem prowadzącym i przekazał sterowanie kapitanowi 6 sekund przed końcem nagrania. Drugie zdarzenie dotyczyło lotu United 2384, który znajdował się na stanowisku postojowym. Wcześniej dwukrotnie przerwał start i zgłosił opary, dym lub zapach na pokładzie.

Wóz nr 1 nie był wyposażony w transponder i obsługiwało go dwóch strażaków. Śledczy NTSB nie posiadają jeszcze informacji, czy inne wozy strażackie biorące udział w akcji posiadały transpondery.Nie jest też jeszcze jasne, ilu certyfikowanych kontrolerów było obecnych w wieży. 

Na pewno znajdowały się tam dwie osoby: kontroler oraz kontroler supervisor. Kontroler nadzorujący zajmował się wydawaniem zezwoleń (clearance delivery), natomiast istnieją sprzeczne informacje, kto odpowiadał za kontrolę naziemną. W tym czasie wszystkie obowiązki kontroli ruchu w La Guardia wykonywało dwóch kontrolerów, co było standardową procedurą dla nocnej zmiany.

Moment katastrofy na lotnisku La Guardia w Nowym Jorku

Odtworzenie ruchu naziemnego z systemu ASDE-X (Airport Surface Detection Equipment, Model X) nie wykazało żadnego obiektu przed samolotem, jednak dwa obiekty znajdowały się na drodze kołowania D. System ASDE-X nie wygenerował żadnego ostrzeżenia. Światła statusu pasa działały prawidłowo.

NTSB nie ma jeszcze wiedzy, czy po wypadku dostępny był inny kontroler, który mógłby zastąpić kontrolera pełniącego dyżur.

Problemy systemowe, które mogły przyczynić się do zdarzenia:

  • Brak transpondera w wozie strażackim, co powodowało, że nie był on widoczny w pełni w systemach nadzoru 
  • Brak wygenerowania ostrzeżenia o wtargnięciu na pas przez system ASDE-X 

Transkrypcja audio z lotniska La Guardia dokumentująca moment zdarzenia

Metary:
KLGA 230451Z 07005KT 4SM BR BKN024 OVC095 08/07 A2970 RMK AO2 RAE39 SLP056 P0001 T00780072 401500050 $=
KLGA 230432Z 07008KT 4SM -RA BR BKN024 OVC100 08/08 A2969 RMK AO2 P0001 T00830078 $=
KLGA 230351Z 05007KT 4SM -RA BR FEW045 BKN090 OVC110 08/08 A2970 RMK AO2 SLP058 P0007 T00830078 $=
KLGA 230251Z 06007KT 7SM -RA SCT060 OVC095 09/08 A2973 RMK AO2 SLP067 P0003 60007 T00940078 50022 $=
KLGA 230151Z 09007KT 7SM -RA FEW055 SCT085 OVC100 09/08 A2974 RMK AO2 SLP070 P0003 T00890078 $=
KLGA 230051Z 06008KT 10SM -RA FEW060 SCT080 OVC100 11/08 A2975 RMK AO2 RAB10 SLP073 P0001 T01060083 $=
KLGA 222351Z 01006KT 10SM FEW030 BKN100 BKN150 BKN250 11/08 A2966 RMK AO2 RAB2253E08 SLP045 P0000 60000 T01060078 10150 20100 58002 $=
KLGA 222251Z 04011KT 10SM FEW030 BKN090 BKN150 BKN250 11/08 A2972 RMK AO2 SLP064 T01060078 $=

Więcej informacji na temat tego zdarzenia dostępnych jest na stronie www.avherald.com

FacebookTwitterWykop
Źródło artykułu

Nasze strony