Incydent: B738 Southwest Airlines próbował startować z drogi kołowania w Orlando
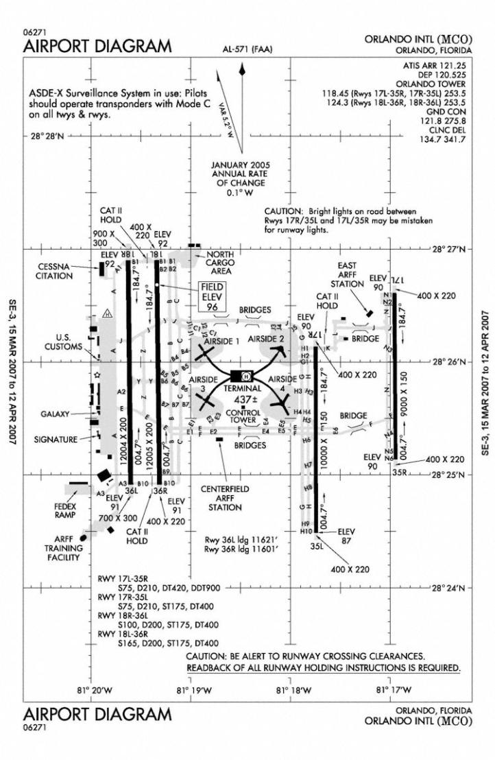
20 marca 2025 r., B738 linii Southwest Airlines (znaki rejestracyjne N8315C) wykonywał lot WN-3278 z Orlando na Florydzie do Albany w stanie Nowy Jork. Załoga otrzymała zgodę na start z RWY 17R w Orlando ok 13:30 UTC, ale ustawiła do startu z równoległej do pasa drogi kołowania H i rozpoczęła rozbieg.
Wieża natychmiast anulowała zgodę na start i załoga wykonała silne hamowanie i zawróciła na płytę postojową. Zastępczy B737-8 MAX (znaki rejestracyjne N8802Q) dotarł do Albany z opóźnieniem około 3h 20 m.
Federalna Administracja Lotnictwa USA (FAA) wydała oświadczenie: „Kontroler ruchu lotniczego na lotnisku międzynarodowym w Orlando anulował zezwolenie na start dla lotu Southwest Airlines 3278 około 9:30 rano LT w czwartek 20 marca, po tym jak samolot rozpoczął rozbieg na drodze kołowania. Droga kołowania biegnie równolegle do pasa startowego. Lot zmierzał do lotniska międzynarodowego w Albany w Nowym Jorku. W incydencie nie brały udziału żadne inne samoloty, a FAA prowadzi dochodzenie w sprawie”.
Samolot wykonał kolejny lot ok 4 godziny po przerwaniu startu.
Karty nawigacyjne lotniska w Orlando:
Metary:
KMCO 201453Z 22010KT 10SM BKN250 23/08 A3004 RMK AO2 SLP172 T02330083 50011=
KMCO 201353Z 23008KT 10SM FEW015 SCT250 21/08 A3005 RMK AO2 SLP172 FU FEW015 T02060083=
KMCO 201253Z 23006KT 10SM SCT250 16/12 A3003 RMK AO2 SLP166 T01610117=
KMCO 201153Z 21003KT 10SM FEW250 12/12 A3001 RMK AO2 SLP161 T01220117 10144 20106 53004=
KMCO 201053Z 19004KT 10SM CLR 12/11 A3000 RMK AO2 SLP158 T01170111 $=
KMCO 200953Z 20005KT 10SM CLR 11/11 A3000 RMK AO2 SLP158 T01110106 $=
Więcej informacji na temat tego zdarzenia dostępnych jest na stronie www.avherald.com



Komentarze